3
$600,000 Sale
Listed 0 hours ago
A - 0 PATRICK DRIVE, #A
· 0
· 0.0
· 0
· -
Key Facts
Key facts for A - 0 PATRICK DRIVE, #A
Property Type
Lots/Land
Parking
Garage: No, 0 parking
MLS #
X12443634
Size
-
Basement
-
Listed on
-
Lot size
-
Tax
-
Days on Market
-
Year Built
-
Maintenance Fee
-
Description
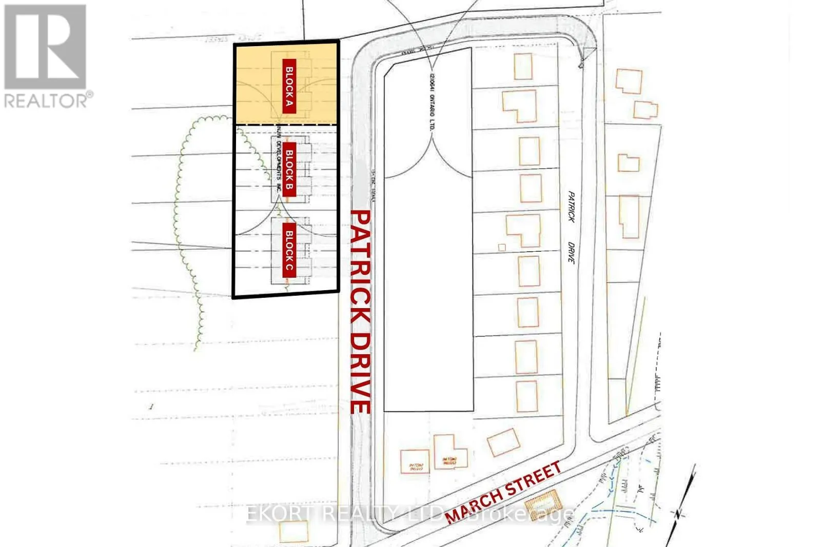
An exceptional development opportunity in a growing community! This 0.42-acre townhouse development block offers a proposed plan for a 4-plex townhouse, making it an ideal investment for builders or developers. Known as Block A, the site features 119 feet of frontage and 153 feet of depth, providing... ample space for an efficient layout. The property has been recently rezoned to R3-23, allowing for townhouse development and expanding the range of permitted uses. In addition to Block A, there are two other available blocks, bringing the total potential acreage to 1.3 acres across all three parcels. With zoning approvals already in place, this property is ready for the next stage of planning and design. (id:10452)
Similar Properties (No results)
Listing courtesy of: EKORT REALTY LTD.
This REALTOR.ca listing content is owned and licensed by REALTOR® members of The Canadian Real Estate Association.